首页)鸿荣源尚云售楼处_深圳鸿荣源尚云欢迎您_楼盘最新详情_户型_配套_价格
扫描到手机,新闻随时看
扫一扫,用手机看文章
更加方便分享给朋友
鸿荣源尚云花园龙华的新房挤破头,一个接连一个入市。作为龙华的扛把子鸿荣源又准备出新项目——鸿荣源尚云,也被不少人戏称壹城中心12区。即将推出的是南区的三栋住宅,推666套,吹风价6.5万。房源分别位于1、2、3单元。其中1、2单元为55层56层的超高层,三梯六户。面积段为82㎡的三房两厅,89㎡的三房两厅,120㎡的四房二厅,1栋3单元为18层的小高层,两梯三户,面积段为109㎡的四房。
温馨提示:看房请提前来电预约,感谢配合!预约来访成功,即享现场当天优惠折扣,可预约现场指定销售专员(中介勿扰)
鸿荣源尚云花园开发商售楼处咨询/预约热线:400-992-0669(中介勿扰)
(更多项目动态| 欢迎来电咨询 | 请提前预约登记看房 | 1:1销售专业讲解)置业顾问一对一对接,来电尊享受额外优惠
项目是去年9月,龙华区2022年六大重点片区新开工项目启动仪式上,有多个地产项目宣布开工,其中位于龙华国际商圈的“龙华商业中心城市更新单元”在列。
龙华商业中心城市更新单元和壹成中心花园隔路相对,是龙华老城核心地带的备受瞩目项目。由于种种原因,龙华商业中心项目进展一直缓慢,直到去年下半年,各小片区终于迎来了重大进展。

鸿荣源主导的壹成中心花园即将完整落成之际,“龙华中洲旧改项目”才算姗姗来迟,但实施主体已不完全掌握于中洲一家,根据已陆续公布的开发主体来看,已被“一分为五”。
包含北、中、东、南一、南二共五个片区,各个片区均整体实施。
南二片区:深圳市鸿龙达投资有限公司,实为鸿荣源关联公司,目前已更名为尚云花园。本片区也是整个旧改进度最快的项目,目前已经建出地面10层,预计未来两个月可能就会入市。

鸿荣源尚云花园整体分为一、二期,南北两个地块开发。
其中A823-0919地块,用地面积约15319.43㎡,总建面约113031.11㎡,总户数1212户,其中可售商品房612套,公共租赁住房600套,绿化率40%,地面最高层数57层。
A823-0920地块,用地面积约11515. 83㎡,总建面约142842. 24㎡,可售商品房为666套,绿化率40%,地面最高层数56层。
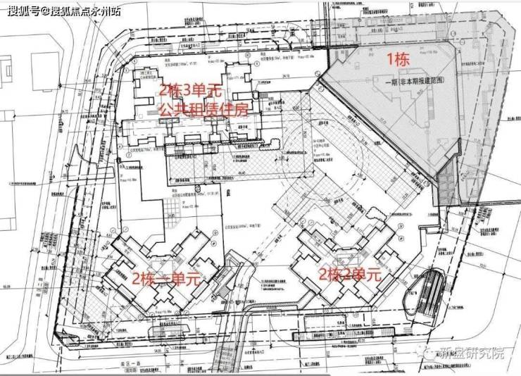
A823-0920地块(南地块),总占地面积约1.15万㎡,总建筑面积约14.3万㎡,计容建筑面积约9.97万㎡,容积率8.67,共由3栋住宅组成。
其中3栋1单元住宅56F,3栋2单元住宅55F,3栋3单元住宅18F,3栋4单元办公27F,规划总户数为666户。
户型介绍
项目位于位于龙华旧城核心区,东临人民路,北靠龙华建设路,中环路及工业路,目前建设已出地面20来层,已经开始在做外立面了,预计下个月初开放营销中心
项目配套方面,由于背靠壹城中心,所以配套基本上是共享的。
交通方面,目前距离最近的4号地铁线“龙华站”约1.2公里,深大城际“民治北站”距离约2公里,25号地铁线“景龙站”(在建)距离约500米。周边布局4号线,规划27/25/22号线4条地铁线
教育方面,小学学区划分在龙华区第二实验学校小学部,人民路学校小学部,华育小学,作为小学共享学区;中学学区划分在人民路学校初中部,龙华区第二实验学校初中部,作为初中共享学区;
家门口的龙华实验高级中学集团民治学校(在建),该校是一所54班学校,小学36班,初中18班,将提供2520个学位,小学1620个,初中900个,未来也将划入尚云花园学区范围内。
商业方面,项目自带约1.25万㎡商业,对面就是深圳最大商业综合体60万㎡的鸿荣源壹方天地购物中心,内含1000米华南最长商业步行街,ABCDE五大主题商业区,超1000家品牌商家。
文娱方面,约10分钟车程内,深圳书城龙华城、龙华文体中心、简上体育综合体、演艺馆、展览馆已经开业,深圳美术馆新馆、深圳第二图书馆在建设中,外立面已经基本建成了。
再说到开发商!这家房企,可以说是深圳本土房企典范,以品质著称、在深圳扎根32载,而且在深圳多个区域做到了片区标杆!已经成为了深圳的一张城市名片!
它就是鸿荣源。
作为城市中心的缔造者,深耕深圳32载的鸿荣源无疑是时代的未来造梦者,凡所至必树标杆,凡所筑必定中心,香蜜湖熙园、龙华壹成中心、宝安壹方中心、前海鸿荣源中心等标杆项目,都定义了一个区域的居住高度,同时也让鸿荣源成为了城市中心生活的旗帜与标准。
每一次所筑皆标杆之作,每一座标杆皆造就生活中心,成为鸿荣源不变的造城观,多年来鸿荣源布局深圳,步履生花,其标杆著品,也成为了深圳逐浪而行、破茧成蝶的生动注脚。
鸿荣源尚云【鸿荣源尚云花园】龙岗鸿荣源尚云花园开发商售楼处电话:400-992-0669(中介勿扰)
来电可了解楼盘最新动态、房价、在售房源、交楼时间等信息!让你买的放心,住的舒心!
鸿荣源尚云花园开发商售楼处直销_欢迎来电预约享受内部折扣_恭迎品鉴
◆提前来电-预约登记尊享售楼处销售专业讲解〢一对一热情服务〢◆
鸿荣源尚云花园开发商售楼中心〢预约可享内部优惠〢匠心钜制-恭迎品鉴〢
温馨提示:项目没有所谓的“分机号”注意保护个人隐私!谨防上当!看房请务必提前预约,避免临时无人接待,感谢您的配合!
注:本广告/宣传资料所涉及对项目周边环境、交通、商业、学校、规划设计及其他公共设施等介绍旨在提供相关信息,不构成开发企业的任何要约和承诺,买卖双方的权利义务以政府的最终批准文件及买卖合同所载内容及实际交付为准的
声明:本文由入驻焦点开放平台的作者撰写,除焦点官方账号外,观点仅代表作者本人,不代表焦点立场。
