鸿荣源尚云(深圳)鸿荣源尚云楼盘详情,户型,价格,位置
扫描到手机,新闻随时看
扫一扫,用手机看文章
更加方便分享给朋友
鸿荣源尚云花园售楼处电话:400-992-0669 售楼中心,项目全面介绍,包含楼盘简介、售楼电话、小区户型图片、营销中心位置、区位优势、交通、周边商业配套、户型图等楼盘详情以上全文就是【鸿荣源尚云花园】楼盘详情,这篇文章的详细分析和点评,感谢您的阅读,希望为您的购房置业选择上提供帮助,开盘预售动态、价格走势资讯、项目最新消息,待定更新发布,敬请持续关注订阅。
温馨提示:看房请提前来电预约,感谢配合!预约来访成功,即享现场当天优惠折扣,可预约现场指定销售专员(中介勿扰)
鸿荣源尚云花园开发商售楼处咨询/预约热线:400-992-0669(中介勿扰)
(更多项目动态| 欢迎来电咨询 | 请提前预约登记看房 | 1:1销售专业讲解)置业顾问一对一对接,来电尊享受额外优惠
位于龙华民治的鸿荣源尙云将推出面积段为82-140平3-4房,可售商品房源为1287套,
鸿荣源尚云位于龙华民治片区,紧邻壹城中心,前身龙华中洲商业中心南地块旧改而来,目前由鸿荣源旗下子公司开发。
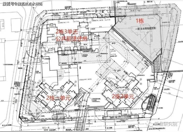
鸿荣源尚云花园总占地面积约2.68万㎡,总建筑面积约23.6万㎡,计容建筑面积约20.87万㎡,容积率7.78,绿化率40.01%,整体分为一期和二期南北两个地块开发,共由6栋18-57F住宅+2栋27-31F写字楼组成,南北区有风雨连廊连接,总规划1878户(可售商品房1278套),停车位1521个(占比1:0.81)。
其中A823-0919地块(北地块),总占地面积约1.53万㎡,总建筑面积约11.3万㎡,计容建筑面积约10.87万㎡,容积率7.1,共由3栋住宅组成。
A823-0920地块(南地块),总占地面积约1.15万㎡,总建筑面积约14.3万㎡,计容建筑面积约9.97万㎡,容积率8.67,共由3栋住宅组成。
鸿荣源尚云推出的是南区的三栋住宅,推666套,吹风价6.5万;房源分别位于1-3单元。其中1/2单元为55层56层的超高层,三梯六户,面积段为82㎡120㎡的三至四房,3单元为18层的小高层,两梯三户,面积段为109㎡的四房。
户型介绍
鸿荣源尚云花园:拥有优越的地理位置和交通条件,距离4号地铁线“龙华站”约1.2公里,深大城际“民治北站”约2公里,未来25号地铁线“景龙站”约500米。无论是前往罗湖、福田、南山等核心商圈,还是到达深圳北站、机场等交通枢纽,都十分便捷。项目周边还有多条公交线路和自行车道,为出行提供多元选择。

鸿荣源尚云花园:享有壹城中心的超级商业配套,壹方天地约60万㎡的集中式商业,规划有A、B、C、D、E五大主题商业街区,超600家高端品牌云集于此,满足居民日常休闲、购物、娱乐需求的同时,也是龙华目前体量最大、最优质的的集中式购物中心,已成为深圳标志性商圈及网红打卡地。项目内部也设有约1.5万㎡的社区商业配套,包括超市、餐饮、幼儿园等生活服务设施。
鸿荣源尚云花园:注重教育品质和医疗保障,项目门口就是深圳艺术高中民治学校,共有54班,其中小学36班,初中18班。全校可提供学位2520个,其中小学学位1620个,初中学位900个。项目还划分在龙华区第二实验学校小学部、人民路学校小学部、华育小学等多所优质小学共享学区;人民路学校初中部、龙华区第二实验学校初中部等多所优质初中共享学区。项目距离深圳市龙华区人民医院步行1公里左右,该医院是集医疗、教学、科研、预防保健于一体的公立综合性三级医院,建筑面积10万㎡,开放床位1000张。
项目自身配建了1.25万㎡的商业,而且紧挨鸿荣源壹方天地购物中心,平日出门逛街,朋友聚餐都是十分便捷的;
未来地铁5期工程建设完,地铁距离更近一步,加之龙华超级商业中心的规划,对整个片区还是有一定的提升;
项目配套的学校为新建的学校,就在家门口,后续也能缓解上学难的问题。
鸿荣源尚云花园【鸿荣源尚云花园】鸿荣源尚云花园开发商售楼处电话:400-992-0669(中介勿扰)
来电可了解楼盘最新动态、房价、在售房源、交楼时间等信息!让你买的放心,住的舒心!
鸿荣源尚云花园开发商售楼处直销_欢迎来电预约享受内部折扣_恭迎品鉴
◆提前来电-预约登记尊享售楼处销售专业讲解〢一对一热情服务〢◆
鸿荣源尚云花园开发商售楼中心〢预约可享内部优惠〢匠心钜制-恭迎品鉴〢
温馨提示:项目没有所谓的“分机号”注意保护个人隐私!谨防上当!看房请务必提前预约,避免临时无人接待,感谢您的配合!
注:本广告/宣传资料所涉及对项目周边环境、交通、商业、学校、规划设计及其他公共设施等介绍旨在提供相关信息,不构成开发企业的任何要约和承诺,买卖双方的权利义务以政府的最终批准文件及买卖合同所载内容及实际交付为准。
声明:本文由入驻焦点开放平台的作者撰写,除焦点官方账号外,观点仅代表作者本人,不代表焦点立场。
