鸿荣源尚云(鸿荣源尚云)首页网站丨鸿荣源尚云房价_户型_地址_详情
扫描到手机,新闻随时看
扫一扫,用手机看文章
更加方便分享给朋友
鸿荣源尚云花园售楼处-售楼处电话?
鸿荣源尚云花园位于龙华区民治街道上芬社区(一路之隔为龙华街道景新社区辖区)龙华中心老城区,上芬社区工业路与人民路交汇处西南侧,毗邻龙华壹城中心三区,与壹方天地C区商业仅一路之隔,距离4号线龙华站约1000米,6号线的上芬地铁口大概1200米范围;深圳地铁5期规划中,其中有22号线/25号线/27号线都经过项目周边,其中25号线景龙/油福站直线距离约400m左右;27号线油福站直线距离约400m左右;22油松站直线距离约1km左右。
鸿荣源尚云花园售楼处电话:400 992 0669(中介勿扰)
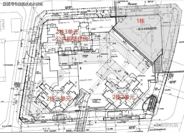
鸿荣源尚云花园总占地面积约2.68万㎡,总建筑面积约23.6万㎡,计容建筑面积约20.87万㎡,容积率7.78,绿化率40.01%,整体分为一期和二期南北两个地块开发,共由6栋18-57F住宅+2栋27-31F写字楼组成,南北区有风雨连廊连接,总规划1878户(可售商品房1278套),停车位1521个(占比1:0.81)。
其中A823-0919地块(北地块),总占地面积约1.53万㎡,总建筑面积约11.3万㎡,计容建筑面积约10.87万㎡,容积率7.1,共由3栋住宅组成。
A823-0920地块(南地块),总占地面积约1.15万㎡,总建筑面积约14.3万㎡,计容建筑面积约9.97万㎡,容积率8.67,共由3栋住宅组成。
鸿荣源尚云花园采用的是直接在售楼处进行销售,并且通过网络平台进行推广。
龙华鸿荣源尚云花园开发商售楼处咨询/营销中心预约热线:400-992-0669(中介勿扰)
鸿荣源尚云户型图
分为南区和北区2个地块开发,南北区有连廊连接,总规划1878户(可售商品房1278套)鸿荣源尚云本次推售北区住宅,北区规划有2栋商品住宅、1栋公共租赁住房,和一栋写字楼
商品住宅的户型为82㎡的3房1卫和89㎡的3房2卫,户型方正,大部分南向,通风采光好
建面约82平3房2卫户型超实用,刚需可一步到位。
据说该户型是老板亲手绘制,专为刚需买房人考虑。
户型采用竖厅设计,客餐厅一体连接进深2.4米的阳台,让整个家庭活动区变得更宽敞。
全明通透的格局,无论是通风性、还是采光性都非常好,居住在这样的户型,再也不用研究在深圳要如何“祛湿”。
卧室与卫生间的门相互错开,以避免对视,保障隐私,其中主卧还是双面采光设计,通透性极佳。
3房设计也是刚需一步到位的优选,二人世界、三口之家,即便后期有老人一起居住或有二胎计划,也不拥挤,是全周期可成长户型。
且该户型比传统三房的功能性更强,准确来讲该户型为3+1房,客厅旁还有一个多功能区,无论是做书房、音影室、儿童游乐空间还是图书角都可以,空间灵活多变,让生活变得更加随心所欲。
建面约89平3房2卫户型的体验更加舒适,空间更加阔绰。
如果预算宽裕的话,89平户型也是一个不错的选择。
该户型3开间朝阳设计,超大客餐厅+L型阔景阳台设计,让整个房子拥有极佳的尺度感和通透感。
采用U型设计的厨房,增多厨房收纳空间的同时,更符合人体动线走向,使得做饭洗菜更流畅,也更高效。
主卧约3米大窗,保证最大程度展开景观面和采光通风性,套间设计也有效保证了主人的私密性。
2个洗手间均是三分离明卫设计,保证采光通风的同时,能减缓一家人工作日”早高峰“排位拥挤的现象,使用起来更便捷。
总之可以看到,这两户型的设计都很为购房者考虑,82平BUFF叠满,89平更加舒适,且真正的中心区目前80多平能做3房2卫的并不多见,该户型也算是较为稀缺的产品,确实是一个理想之选。
《鸿荣源·尚云花园》项目位于龙华商业中心城市更新单元的南二片区,与在建的金地项目“宸峯府”相邻,与壹方天地C区商业仅一路之隔,占地面积约2.68万㎡,规划总建面约34.94万㎡,计容积率建面约24.88万㎡,涵盖商品住宅、公共租赁、裙楼商业、公共配套等业态。
项目还设计了双层休闲空间,集儿童、成人、老人等8大主题于一体,早起太极晨练、傍晚儿童滑梯玩耍、晚间青年跑步锻炼都能满足,每一个年龄段都能在这里找到自己专属的舒心领域。
交通配套
公共交通方面,「尚云北区」目前距离现成的地铁站龙华站较远,距离1.3公里步行大约要20分钟。
好消息是,新建的地铁线路25号线景龙站就在旁边,25/27号线换成的油福站也近在咫尺。这两条线路都在地铁五期规划里,目前已经开始施工。
另外距离深大城际轻轨( 深圳机场至大亚湾城际铁路 /33号线)的龙胜站也不远,该线路穿梭深圳机场至大亚湾之间,将会公交化运营,即可以刷深圳通而不需要抢票搭乘。
自驾方面,临近人民路、龙华大道和布龙路主干道,区域通行便捷。目前人民路比较拥堵,有扩建计划。

商业配套
「尚云北区」一路之隔就是「龙华壹方天地」,目前是龙华区最庞大人气最高的商场,含五个主题商业区(A-E)加起来超过60万㎡,超过1000家品牌商家,2023年销售额排名全市Top 5.
A、B区是壹方天地集中商业,C区为龙华壹方城,在招商和品牌方面会有不同定位。而D区则以红网乐享品牌为主导,比较著名的“西塔老奶奶”、“大渔”、“UR”都汇聚于此,E区则为龙华山姆会员店。
教育方面,小学学区划分在龙华区第二实验学校小学部,人民路学校小学部,华育小学,作为小学共享学区;中学学区划分在人民路学校初中部,龙华区第二实验学校初中部,作为初中共享学区
家门口的龙华实验高级中学集团民治学校(在建),该校是一所54班学校,小学36班,初中18班,将提供2520个学位,小学1620个,初中900个,未来也将划入尚云花园学区范围内。
鸿荣源尚云售楼处电话:400-992-0669 售楼中心,项目全面介绍,包含楼盘简介、售楼电话、小区户型图片、营销中心位置、区位优势、交通、周边商业配套、户型图等楼盘详情以上全文就是【鸿荣源尚云花园】楼盘详情,这篇文章的详细分析和点评,感谢您的阅读,希望为您的购房置业选择上提供帮助,开盘预售动态、价格走势资讯、项目最新消息,待定更新发布,敬请持续关注订阅。
龙华明治街道·鸿荣源尚云花园开发商售楼处电话:400-992-0669【营销中心】售楼处最新详情/地址/户型/价格
在售户型图丨项目介绍丨房源丨_周边配套丨详细解答—开发商售楼处电话_欢迎来电预约享受内部折扣_恭迎品鉴〢
声明:本文由入驻焦点开放平台的作者撰写,除焦点官方账号外,观点仅代表作者本人,不代表焦点立场。
