深圳龙岗远洋天萃世纪雅园怎么样?|项目介绍|交通教育配套|户型图解析
扫描到手机,新闻随时看
扫一扫,用手机看文章
更加方便分享给朋友
远洋天萃世纪雅园(深圳坂田)
远洋天萃世纪雅园售楼处电话:400-992-0669【VIP贵宾专线】
远洋天萃世纪雅园营销中心电话:400-992-0669【VIP贵宾专线】
远洋天萃世纪雅园售楼中心热线:400-992-0669【VIP贵宾专线】
来访提前咨询预约,欢迎致电开发商售楼处热线:400-992-0669,专业销售顾问将竭诚为你服务,感谢您的配合!
在售户型图丨项目介绍丨最新房源丨周边配套丨详细解答〢
远洋·天萃世纪雅园(原名:天璞世纪雅园)位于龙岗区坂田街道,紧邻地铁10号线光雅园站B出口。
项目总占地面积约1.36万平方米,由4栋住宅楼和1栋写字楼组成,共推出615套房源,户型包括89㎡三房两卫、110-128㎡四房两卫。计划2026年12月31日带精装交付。
远洋天萃世纪雅园在2024年12月13日取得预售许可证,于12月14日正式开盘,备案均价为5.36万元/㎡,定价为原价的89.28折。开盘现场火爆,周末两天售出191套,成交额达8亿元,去化率约31%。
项目采取综合折扣策略,定价为原价的89.28折,折后均价为4.78万元/㎡,
价格炸裂:比二手便宜1万/㎡!总价388万起!买89㎡精装三房。
如需了解更多详情,欢迎来电咨询远洋天萃世纪雅园售楼处电话400-992-0669,过来我们营销中心看房提前来电预约价格还能更优惠。
坂田远洋天萃世纪雅园售楼处400免费咨询/预约电话:400-992-0669,中介勿扰
温馨提示:过来营销中心参观样板间请记得提前拨打售楼处400热线预约,感谢您的配合!
远洋天萃世纪雅园核心卖点:刚需的配套全达标!
交通便利:无缝连接地铁10号线光雅园站,1站到达五和交通枢纽,换乘5号线2站可至深圳北站。
教育资源:项目位于深圳实验学校坂田校区初中部学区内。
商业配套:自带社区底商,周边有五和商业广场、8号仓奥特莱斯等,乘坐地铁2站可至星河COCO PARK。
宜居环境:周边有银湖山郊野公园、南坑水库等,生态环境优越。
不限购:项目不处于深圳限购区域,不受社保户籍限制。

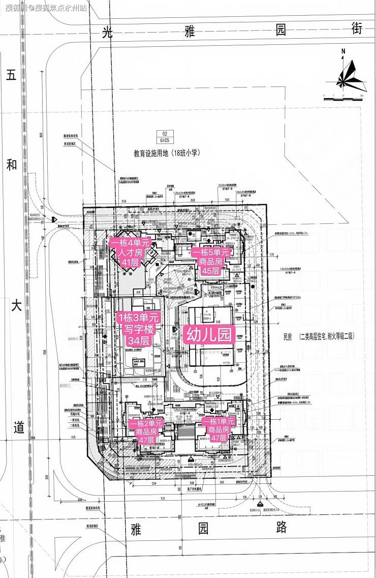
项目由远洋集团打造,总占地面积约1.36万平方米,总建筑面积约15.89万平方米。计容建筑面积约12.58万平方米,容积率约8.74,绿化率为40%。项目共由4栋住宅楼组成,总高44-47层,以及1栋34层的办公楼。其中,1栋1/2单元为47层的商品房,1栋5单元为41层的人才房,2栋规划有1所幼儿园。
总规划795套住宅,其中包括可售商品房约565套,回迁房50套,人才房180套。地下设有4层,规划停车位694个。(深圳远洋天萃售楼处电话:400-992-0669)
项目总占地面积约1.36万㎡,共由4栋总高44-47层的住宅+1栋34层的办公组成:
其中,1栋1、2单元为47层住宅,5单元为45层住宅,约615套住宅(含50套回迁房), 1栋4单元为41层人才房,共180套人才房,1栋3单元为34层写字楼;2栋规划为3层幼儿园。
从平面图来看,1、2、5单元住宅均为一层5户的布局,以89㎡刚需户型为主;113㎡分别位于1、2单元,朝北望花园,128㎡位于5单元,朝南望花园,改善首选。(深圳远洋天萃世纪雅园售楼处电话:400-992-0669)
89㎡ A1户型(3房2厅2卫)
格局:竖厅设计,空间布局合理。
客厅:3.5米开间,宽敞明亮,LDKB一体化设计,提升空间利用率。
S墙设计:预留冰箱卡槽位,方便实用。
阳台:客厅连接次卧,打造5.9米长的大阳台,视野开阔。
主卧:双面飘窗,采光充足。
次卧:270度转角飘窗,增加采光和观景角度。
厨房:U型设计,操作便捷。
卫生间:干湿分离,提高使用舒适度。
阳台朝向:西向、东向、南向,满足不同需求。
89㎡ A2户型(3房2厅2卫)
格局:竖厅设计,空间布局合理。
客厅:3.5米开间,宽敞明亮,LDKB一体化设计,提升空间利用率。
S墙设计:预留冰箱卡槽位,方便实用。
阳台:客厅连接次卧,打造5.9米长的大阳台,视野开阔。
次卧:配备270度转角飘窗,增加采光和观景角度。
厨房:U型设计,操作便捷。
卫生间:干湿分离,提高使用舒适度。
阳台朝向:西向、东向、南向,满足不同需求。
110㎡户型(4房2厅2卫)
格局:竖厅南北通透,保证室内空气流通。
客厅:4.2米开间,宽敞舒适。
玄关:进门户设计,增加私密性。
阳台:客厅连接次卧,6.5米长的大阳台,享受阳光与美景。
主卧:大套间设计,尊贵私密。
飘窗:全屋9处飘窗,提升居住体验。
厨房:U型设计,操作便捷。
卫生间:干湿分离,提高使用舒适度。
阳台朝向:主朝北向,采光充足。
128㎡户型(4房2厅2卫)
格局:横厅南北通透,空间宽敞明亮。
客餐厅:6.5米开间,大气磅礴。
玄关:进门户设计,增加私密性。
LDKB一体化:提升空间利用率。
阳台:客厅连接次卧,6.1米长的大阳台,享受阳光与美景。
主卧:大套间设计,尊贵私密。
飘窗:全屋8处飘窗,提升居住体验。
厨房:U型设计,操作便捷。
卫生间:干湿分离,提高使用舒适度。
阳台朝向:主朝南向,采光充足。
项目位于坂田街道五和大道与光雅园路交汇处东北侧,紧邻地铁10号线光雅园站B出口。
从地理位置上看,深圳是“东西狭长,南北较窄”的地形,而坂田南片区,处于深圳地理几何中心。
又作为TOD无缝直连项目,远洋天萃不仅可实现快速通达深圳各大主要区域,同时也享受到了坂田片区产业快速发展的红利。(深圳远洋天萃世纪雅园售楼处电话:400-992-0669)
从区位地段上,项目所在的坂田向来是龙岗置业的热门片区,也是深圳重要的产城融合片区。
坂田片区的科技产业、人才互动紧密,在现代通信技术、新型显示、云计算等领域具有强大的产业支撑,素有 “中国硅谷”的美誉。
据不完全统计,坂田拥有国内外上市公司12家,亿元以上企业超200家,规模以上企业超1200家,国高企业615家,专精特新企业287家,国家/省/市/区级重点实验室及技术中心38个,申请专利总数超11万个。坂田以仅占深圳1.5%的面积,贡献了全市16%的第二产业增加值。
除了科技,坂田也是跨境电商的大本营。作为龙岗区两个主要跨境电商集聚区之一,坂田已形成了11个较大规模的电商企业集聚园区,培育了14家规模以上跨境电商企业,中小跨境电商企业1万家左右,保守估计营收总额达千亿元以上。

项目家门口就是“福田专线”——10号地铁线“光雅园站”B出口,1站到五和枢纽站,可换乘5号地铁线/深大城际,3站可到龙华深圳北站,3站到福田、4站到南山。
10号线纵向串联坂雪岗、福田CBD;5号线横向串联蛇口、前海、西丽、布吉。
光雅园站B出口与项目负二层直接连通,垂直电梯无缝直达地铁站,真正做到无风无雨无日晒,下楼即进站,不出地铁便可直接归家。
自带社区底商,北侧约160米就是五和商业广场、宝银商业广场,西侧约650米就是8号仓奥特莱斯,南侧距离约1.4公里坐地铁2站可到星河COCO PARK,距离天虹商场坂田店1.8公里。(深圳远洋天萃世纪雅园售楼处电话:400-992-0669)
自带1所幼儿园,北侧地块规划有1所18班制幼儿园。
小学学区划分在科学高中五和实验学校,中学学区划分在坂田实验学校初中部、扬美实验学校初中部、深圳实验坂田校区初中部、科学高中五和实验学校初中部。
深圳科学高中作为深圳教育界的佼佼者,其附属的五和实验学校教育质量还是有保障的。
周边有4大自然生态湖泊周围,包含民治水库、民乐水库、雅宝水库、南坑水库。不仅是深圳最稠密的湖区所在地,更拥有塘朗山和银湖山两大山林资源。
出门2公里就是14.3平方公里的银湖山郊野公园,还有省5号绿道加山海连城鲲鹏径,五园连通串联梅林山、笔架山、莲花山、中心公园。

远洋天萃世纪雅园(深圳坂田)
远洋天萃世纪雅园售楼处电话:400-992-0669【VIP贵宾专线】
远洋天萃世纪雅园营销中心电话:400-992-0669【VIP贵宾专线】
远洋天萃世纪雅园售楼中心热线:400-992-0669【VIP贵宾专线】
来访提前咨询预约,欢迎致电开发商售楼处热线:400-992-0669,专业销售顾问将竭诚为你服务,感谢您的配合!
在售户型图丨项目介绍丨最新房源丨周边配套丨详细解答〢
注意:本项目不收任何费用,售楼中心〢欢迎来电咨询〢安全通话隐藏真实号码
声明:本文由入驻焦点开放平台的作者撰写,除焦点官方账号外,观点仅代表作者本人,不代表焦点立场。
