深圳鸿荣源尚云售楼处|首页网站|鸿荣源尚云售楼部_欢迎您_最新房价_在售户型
扫描到手机,新闻随时看
扫一扫,用手机看文章
更加方便分享给朋友
鸿荣源尚云花园售楼处电话:400-992-0669 售楼中心,项目全面介绍,包含楼盘简介、售楼电话、小区户型图片、营销中心位置、区位优势、交通、周边商业配套、户型图等楼盘详情以上全文就是【鸿荣源尚云花园】楼盘详情,这篇文章的详细分析和点评,感谢您的阅读,希望为您的购房置业选择上提供帮助,开盘预售动态、价格走势资讯、项目最新消息,待定更新发布,敬请持续关注订阅。
温馨提示:看房请提前来电预约,感谢配合!预约来访成功,即享现场当天优惠折扣,可预约现场指定销售专员(中介勿扰)
鸿荣源尚云花园开发商售楼处咨询/预约热线:400-992-0669(中介勿扰)
(更多项目动态| 欢迎来电咨询 | 请提前预约登记看房 | 1:1销售专业讲解)置业顾问一对一对接,来电尊享受额外优惠
龙华的头部房企鸿荣源又准备出新项目——鸿荣源尚云花园。
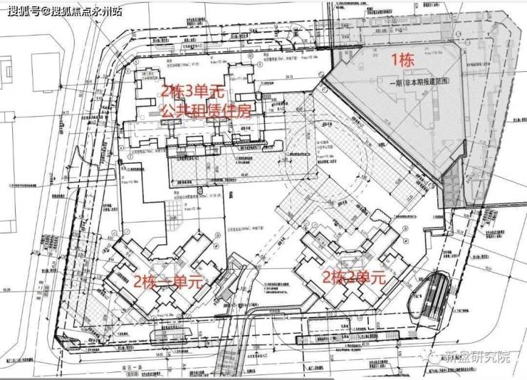
鸿荣源尚云花园,总占地面积约2.68万㎡,总建筑面积约23.6万㎡,计容建筑面积约20.87万㎡,容积率7.78,绿化率40.01%,共分2个地块开发,共由6栋18-57F住宅+2栋27-31F写字楼组成,南北区有风雨连廊连接,总规划1878户(可售商品房1278套),停车位1521个(占比1:0.81)。
鸿荣源尚云花园为龙华商业中心城市更新单元南二片区,项目分为一、二期,南北两个地块开发。
A823-0919地块(北地块),总占地面积约1.53万㎡,总建筑面积约11.3万㎡,计容建筑面积约10.87万㎡,容积率7.1,共由3栋住宅组成。
其中2栋1单元住宅54F,2栋2单元住宅57F,2栋3单元公共租赁住房55F,另外规划1栋写字楼31F,规划总户数为1212户(商品房612套,公共租赁住房600套)。
A823-0920地块(南地块),总占地面积约1.15万㎡,总建筑面积约14.3万㎡,计容建筑面积约9.97万㎡,容积率8.67,共由3栋住宅组成。
其中3栋1单元住宅56F,3栋2单元住宅55F,3栋3单元住宅18F,3栋4单元办公27F,规划总户数为666户。
鸿荣源尚云花园即将推出的是南区的3栋住宅,共666套,
户型介绍
房源分别位于1、2、3单元,其中1、2单元为55层56层的超高层,3梯6户。
面积段为82㎡ 3房2厅,89㎡ 3房2厅,120㎡ 4房2厅,1栋3单元为18层的小高层,2梯3户,面积段为109㎡的4房。
龙华商业中心城市更新单元用地面积346190.3㎡,规划容积为1615135㎡。项目整体包含北区「幸福城臻园」、中片区「中洲龙商」、东片区「灿源新项目」、南一片区「金地宸峯府」、南二片区「鸿荣源尚云花园」,各个片区均整体实施。
鸿荣源尚云花园也是整个旧改进度最快的项目,目前已经建出地面20多层,预计将在近期入市。
项目配套方面
地铁配套:目前距离最近的4号地铁线“龙华站”距离约1.2公里,深大城际“民治北站”距离约2公里,刚通过五期规划的25号地铁线“景龙站”距离约500米。
教育配套:根据2023年龙华区教育划分,小学学区划分在龙华区第二实验学校小学部,人民路学校小学部,华育小学,作为小学共享学区;中学学区划分在人民路学校初中部,龙华区第二实验学校初中部,作为初中共享学区;
另外值得一提的是家门口的深圳艺术高中民治学校(在建),该校是一所54班学校,小学36班,初中18班,将提供2520个学位,小学1620个,初中900个,未来也将划入尚云花园学区范围内。
商业配套:项目自带约1.25万㎡商业,周边紧挨着鸿荣源壹方天地购物中心,内含1000米华南最长商业步行街,ABCDE五大主题商业区,超1000家品牌商家。
鸿荣源尚云【鸿荣源尚云花园】龙华鸿荣源尚云花园开发商售楼处电话:400-992-0669(中介勿扰)
来电可了解楼盘最新动态、房价、在售房源、交楼时间等信息!让你买的放心,住的舒心!
鸿荣源尚云花园开发商售楼处直销_欢迎来电预约享受内部折扣_恭迎品鉴
◆提前来电-预约登记尊享售楼处销售专业讲解〢一对一热情服务〢◆
鸿荣源尚云花园开发商售楼中心〢预约可享内部优惠〢匠心钜制-恭迎品鉴〢
温馨提示:项目没有所谓的“分机号”注意保护个人隐私!谨防上当!看房请务必提前预约,避免临时无人接待,感谢您的配合!
注:本广告/宣传资料所涉及对项目周边环境、交通、商业、学校、规划设计及其他公共设施等介绍旨在提供相关信息,不构成开发企业的任何要约和承诺,买卖双方的权利义务以政府的最终批准文件及买卖合同所载内容及实际交付为准
声明:本文由入驻焦点开放平台的作者撰写,除焦点官方账号外,观点仅代表作者本人,不代表焦点立场。
