深圳远洋天萃世纪雅园怎么样?2026远洋天萃世纪雅园楼盘,户型配套,价值分析报告
扫描到手机,新闻随时看
扫一扫,用手机看文章
更加方便分享给朋友
龙岗【 远洋天萃世纪雅园】售楼处24小时电话:400 992 0669(官方电话)现场详细解答丨项目介绍丨户型图丨在售房源丨特价房丨学校丨交通位置丨样板房丨小区图片丨交房时间丨周边配套丨
远洋·天萃世纪雅园(原名:天璞世纪雅园)——刚需地铁口上车盘,3站到福田、名校加持、商业齐全,单价4.3万起。
福田/南山通勤党:地铁3站到CBD,适合预算有限的上班族。
华为坂田员工:通勤3站直达,总价友好,首套刚需或过渡优选。
名校刚需家庭:科高+深实验双保险,低积分门槛。
远洋天萃世纪雅园售楼处电话:400-992-0669【营销中心】✅
温馨提示:过来之前请记得拨打售楼处电话:400-992-0669进行预约,谢谢配合!
为给您更好的看房体验请提前来电预约(给您预留现场销售和停车位)
注意:本项目不收任何费用,售楼中心〢欢迎来电咨询〢安全通话隐藏真实号码
核心卖点:刚需的“三件套”全达标!
交通无敌:真·地铁上盖:10号线光雅园站B口直连小区B2层,电梯下楼即进站。
3站到福田(约15分钟)、4站到南山,华为坂田基地通勤仅3站,通勤党福音!
价格炸裂:比二手便宜1万/㎡!总价388万起!买89㎡精装三房,对比周边二手(5.3-6.8万/㎡)坂田南断供3年,片区无新住宅用地,稀缺性拉满,同面积段福田新盘7.8万+/㎡,这里用一半价格,买同款通勤效率。
双名校加持:小学划片「科高五和实验」(龙岗一梯队),初中可选「深实验坂田校区」(公办普高率82%+)入学积分门槛低。
配套能打:8号仓奥特莱斯、星河COCO Park、五和商圈步行可达。
总结:远洋天萃世纪雅园像一份“快餐”——快速解决通勤+教育+预算问题,但别期待“五星级酒店”的体验。如果你是依赖地铁的刚需党,它或许是当下最优解!
更多详情,欢迎咨询远洋天萃世纪雅园售楼处电话400-992-0669,过来我们营销中心看房提前来电预约价格还能更优惠。
龙岗坂田远洋天萃世纪雅园售楼处400免费咨询/预约电话:400-992-0669,中介勿扰
温馨提示:过来营销中心参观样板间请记得提前拨打售楼处400热线预约,感谢您的配合!
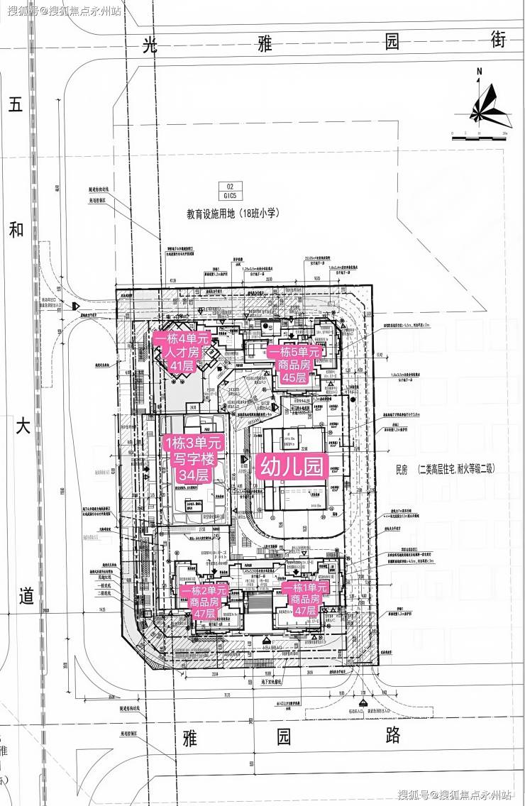
项目由远洋集团打造,位于坂田街道五和大道与光雅园路交汇处东北侧,紧邻地铁10号线光雅园站B出口。
总占地面积约1.36万㎡,共由4栋总高44-47层的住宅+1栋34层的办公组成:其中,1栋1、2单元为47层住宅,5单元为45层住宅,约615套住宅(含50套回迁房);1栋4单元为41层人才房,共180套人才房;1栋3单元为34层写字楼;2栋规划为3层幼儿园(深圳远洋天萃售楼处电话:400-992-0669)
A1户型-约89㎡3房2厅2卫:户型分布在1、2、5单元,阳台南向、东向、西向
竖厅格局,客厅3.5米开间,LDKB一体化,S墙设计预留冰箱卡槽位,客厅连接次卧出5.9米长的大阳台,主卧双面飘窗,次卧270°转角飘窗,全屋6面飘窗,U型厨房,卫生间干湿分离。
A2户型-约89㎡3房2厅2卫:户型分布在1、2、5单元,阳台南向、东向、西向
竖厅格局,客厅3.5米开间,LDKB一体化,S墙设计预留冰箱卡槽位,客厅连接次卧出5.9米长的大阳台,次卧270°转角飘窗,对比A1户型少一面飘窗,U型厨房,卫生间干湿分离。
B户型-约110㎡4房2厅2卫:户型分布在1、2单元,竖厅南北通透格局
进门户玄关,客厅4.2米开间,客厅连接次卧出6.5米长的大阳台,主卧大套间设计,全屋9处飘窗,U型厨房,卫生间干湿分离。
C户型-约128㎡4房2厅2卫:户型分布在5单元,横厅南北通透格局
进门户玄关,客餐厅6.5米开间,LDKB一体化,客厅连接次卧出6.1米长的大阳台,主卧大套间设计,全屋8处飘窗,U型厨房,卫生间干湿分离。
项目位于坂田街道五和社区,雅园路与五和大道交会处,这里紧挨着龙华区,是华为全球总部基地所在的坂雪岗科技城的一部分。
这里可谓是龙岗不可或缺的区域,在2022年,GDP高达2252亿元,占比达到龙岗全区的66%,也一度占据龙岗榜首。该片区重点发展现代通信技术、新型显示、云计算、下一代互联网、高端生产性服务,以及高标准、高品质的城市公共服务,旨在打造成为国际知名的通讯技术与计算机技术研发和总部为主导的综合性新城区。(深圳远洋天萃售楼处电话:400-992-0669)

交通方面,项目紧邻10号地铁线“光雅园站”B出口,仅需一站即可到达五和枢纽站换乘5号地铁线或深大城际,三站即可到达龙华深圳北站,便捷通往福田和南山。
深大城际(深圳段)从宝安机场T4站起始,途径宝安区、龙华区、龙岗区,最终到达坪山区聚龙站,全长约69.2公里,设计时速为160公里/小时,沿线设有11个地下站点。
商业方面,项目自带社区底商,满足日常购物需求;周边还有五和商业广场、宝银商业广场、8号仓奥特莱斯等多个商场;乘坐地铁2站即可到达星河COCO PARK。(深圳远洋天萃世纪雅园售楼处官方电话:400-855-2986)
此外,距离项目2站就是中国最高双子塔——深圳·星河双子塔,是深圳唯一享160万㎡大城配套的超高层写字楼。园区耗资60亿元,打造10大类型醇熟配套,一站式解决企业及员工的办公和生活需求。
同时,深圳·星河WORLD规划产业、商务、居住、教育、购物、休闲等多业态配套的产融新城,实现区域内业态互补。
学校教育方面,项目自身配备了一所幼儿园,同时,北侧地块也规划了一所18班规模的幼儿园。根据龙岗区教育局2024年的最新学区划分,该项目的小学学区归属深圳科学高中五和实验学校小学部,初中学区则包括深圳科学高中五和实验学校初中部、扬美实验学校初中部、云端学校初中部以及深圳实验学校坂田校区初中部。
生态人文方面,出门2公里银湖山郊野公园;周围南坑、雅宝、民治三大水库
坂田南区域以成熟社区为主,居住密度远低于深圳平均水平,居住界面优于龙华,可谓不逊福田。项目被四季花城、十二橡树、第五园等成熟已久的五大别墅群环抱;且坂田南几乎没有超高层住宅,视野开阔,俯瞰湖山。
出门2公里,畅享14.3平方公里银湖山郊野公园;周围环绕南坑、雅宝、民治三大水库,是深圳最稠密的湖区所在地;此外,还有省5号绿道加“山海连城鲲鹏径”,“五园连通”串联梅林山、笔架山、莲花山、中心公园。

远洋天萃世纪雅园选房策略:楼层朝向怎么选?
优先1栋5单元:朝南望花园,噪音较小,采光优。
低预算可选朝东户型:中低楼层价差大,总价388万起,但采光较弱。
避雷1栋2单元西向:临近地铁轨道,噪音明显;北侧低楼层慎选(未来施工影响)
自住刚需可考虑:通勤、教育、商业全达标,价格优势明显,适合“先上车”群体。
远洋天萃世纪雅园售楼处电话:400-992-0669【营销中心】✅
温馨提示:过来之前请记得拨打售楼处电话:400-992-0669进行预约,谢谢配合!
为给您更好的看房体验请提前来电预约(给您预留现场销售和停车位)
注意:本项目不收任何费用,售楼中心〢欢迎来电咨询〢安全通话隐藏真实号码
声明:本文由入驻焦点开放平台的作者撰写,除焦点官方账号外,观点仅代表作者本人,不代表焦点立场。
