深圳远洋天萃世纪雅园官方介绍-远洋天萃世纪雅园楼盘详情-房价-在售户型-容积率-小区环境
扫描到手机,新闻随时看
扫一扫,用手机看文章
更加方便分享给朋友
龙岗【 远洋天萃世纪雅园】售楼处24小时电话:400 992 0669(官方电话)现场详细解答丨项目介绍丨户型图丨在售房源丨特价房丨学校丨交通位置丨样板房丨小区图片丨交房时间丨周边配套丨
远洋天萃世纪雅园(深圳坂田)
远洋天萃世纪雅园售楼处电话:400-992-0669【VIP贵宾专线】
远洋天萃世纪雅园营销中心电话:400-992-0669【VIP贵宾专线】
远洋天萃世纪雅园售楼中心热线:400-992-0669【VIP贵宾专线】
来访提前咨询预约,欢迎致电开发商售楼处热线:400-992-0669,专业销售顾问将竭诚为你服务,感谢您的配合!
在售户型图丨项目介绍丨最新房源丨周边配套丨详细解答〢
远洋·天萃世纪雅园(原名:天璞世纪雅园)位于龙岗区坂田街道,紧邻地铁10号线光雅园站B出口。
项目总占地面积约1.36万平方米,由4栋住宅楼和1栋写字楼组成,共推出615套房源,户型包括89㎡三房两卫、110-128㎡四房两卫。计划2026年12月31日带精装交付。
远洋天萃世纪雅园在2024年12月13日取得预售许可证,于12月14日正式开盘,备案均价为5.36万元/㎡,定价为原价的89.28折。开盘现场火爆,周末两天售出191套,成交额达8亿元,去化率约31%。
项目采取综合折扣策略,定价为原价的89.28折,折后均价为4.78万元/㎡,
价格炸裂:比二手便宜1万/㎡!总价388万起!买89㎡精装三房。
如需了解更多详情,欢迎来电咨询远洋天萃世纪雅园售楼处电话400-992-0669,过来我们营销中心看房提前来电预约价格还能更优惠。
坂田远洋天萃世纪雅园售楼处400免费咨询/预约电话:400-992-0669,中介勿扰
温馨提示:过来营销中心参观样板间请记得提前拨打售楼处400热线预约,感谢您的配合!
远洋天萃世纪雅园核心卖点:刚需的配套全达标!
交通便利:无缝连接地铁10号线光雅园站,1站到达五和交通枢纽,换乘5号线2站可至深圳北站。
教育资源:项目位于深圳实验学校坂田校区初中部学区内。
商业配套:自带社区底商,周边有五和商业广场、8号仓奥特莱斯等,乘坐地铁2站可至星河COCO PARK。
宜居环境:周边有银湖山郊野公园、南坑水库等,生态环境优越。
不限购:项目不处于深圳限购区域,不受社保户籍限制。

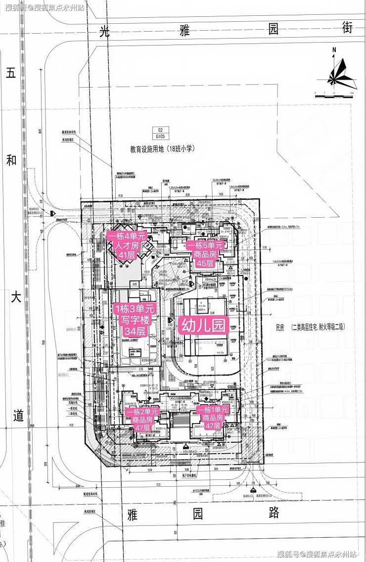
项目由远洋集团打造,总占地面积约1.36万平方米,总建筑面积约15.89万平方米。计容建筑面积约12.58万平方米,容积率约8.74,绿化率为40%。项目共由4栋住宅楼组成,总高44-47层,以及1栋34层的办公楼。其中,1栋1/2单元为47层的商品房,1栋5单元为41层的人才房,2栋规划有1所幼儿园。
总规划795套住宅,其中包括可售商品房约565套,回迁房50套,人才房180套。地下设有4层,规划停车位694个。(深圳远洋天萃售楼处电话:400-992-0669)
项目总占地面积约1.36万㎡,共由4栋总高44-47层的住宅+1栋34层的办公组成:
其中,1栋1、2单元为47层住宅,5单元为45层住宅,约615套住宅(含50套回迁房), 1栋4单元为41层人才房,共180套人才房,1栋3单元为34层写字楼;2栋规划为3层幼儿园。
从平面图来看,1、2、5单元住宅均为一层5户的布局,以89㎡刚需户型为主;113㎡分别位于1、2单元,朝北望花园,128㎡位于5单元,朝南望花园,改善首选。(深圳远洋天萃世纪雅园售楼处电话:400-992-0669)
89㎡ A1户型(3房2厅2卫)
格局:竖厅设计,空间布局合理。
客厅:3.5米开间,宽敞明亮,LDKB一体化设计,提升空间利用率。
S墙设计:预留冰箱卡槽位,方便实用。
阳台:客厅连接次卧,打造5.9米长的大阳台,视野开阔。
主卧:双面飘窗,采光充足。
次卧:270度转角飘窗,增加采光和观景角度。
厨房:U型设计,操作便捷。
卫生间:干湿分离,提高使用舒适度。
阳台朝向:西向、东向、南向,满足不同需求。
89㎡ A2户型(3房2厅2卫)
格局:竖厅设计,空间布局合理。
客厅:3.5米开间,宽敞明亮,LDKB一体化设计,提升空间利用率。
S墙设计:预留冰箱卡槽位,方便实用。
阳台:客厅连接次卧,打造5.9米长的大阳台,视野开阔。
次卧:配备270度转角飘窗,增加采光和观景角度。
厨房:U型设计,操作便捷。
卫生间:干湿分离,提高使用舒适度。
阳台朝向:西向、东向、南向,满足不同需求。
110㎡户型(4房2厅2卫)
格局:竖厅南北通透,保证室内空气流通。
客厅:4.2米开间,宽敞舒适。
玄关:进门户设计,增加私密性。
阳台:客厅连接次卧,6.5米长的大阳台,享受阳光与美景。
主卧:大套间设计,尊贵私密。
飘窗:全屋9处飘窗,提升居住体验。
厨房:U型设计,操作便捷。
卫生间:干湿分离,提高使用舒适度。
阳台朝向:主朝北向,采光充足。
128㎡户型(4房2厅2卫)
格局:横厅南北通透,空间宽敞明亮。
客餐厅:6.5米开间,大气磅礴。
玄关:进门户设计,增加私密性。
LDKB一体化:提升空间利用率。
阳台:客厅连接次卧,6.1米长的大阳台,享受阳光与美景。
主卧:大套间设计,尊贵私密。
飘窗:全屋8处飘窗,提升居住体验。
厨房:U型设计,操作便捷。
卫生间:干湿分离,提高使用舒适度。
阳台朝向:主朝南向,采光充足。
项目位于坂田街道五和大道与光雅园路交汇处东北侧,紧邻地铁10号线光雅园站B出口。
从地理位置上看,深圳是“东西狭长,南北较窄”的地形,而坂田南片区,处于深圳地理几何中心。
又作为TOD无缝直连项目,远洋天萃不仅可实现快速通达深圳各大主要区域,同时也享受到了坂田片区产业快速发展的红利。(深圳远洋天萃世纪雅园售楼处电话:400-992-0669)
从区位地段上,项目所在的坂田向来是龙岗置业的热门片区,也是深圳重要的产城融合片区。
坂田片区的科技产业、人才互动紧密,在现代通信技术、新型显示、云计算等领域具有强大的产业支撑,素有 “中国硅谷”的美誉。
据不完全统计,坂田拥有国内外上市公司12家,亿元以上企业超200家,规模以上企业超1200家,国高企业615家,专精特新企业287家,国家/省/市/区级重点实验室及技术中心38个,申请专利总数超11万个。坂田以仅占深圳1.5%的面积,贡献了全市16%的第二产业增加值。
除了科技,坂田也是跨境电商的大本营。作为龙岗区两个主要跨境电商集聚区之一,坂田已形成了11个较大规模的电商企业集聚园区,培育了14家规模以上跨境电商企业,中小跨境电商企业1万家左右,保守估计营收总额达千亿元以上。

项目家门口就是“福田专线”——10号地铁线“光雅园站”B出口,1站到五和枢纽站,可换乘5号地铁线/深大城际,3站可到龙华深圳北站,3站到福田、4站到南山。
10号线纵向串联坂雪岗、福田CBD;5号线横向串联蛇口、前海、西丽、布吉。
光雅园站B出口与项目负二层直接连通,垂直电梯无缝直达地铁站,真正做到无风无雨无日晒,下楼即进站,不出地铁便可直接归家。
自带社区底商,北侧约160米就是五和商业广场、宝银商业广场,西侧约650米就是8号仓奥特莱斯,南侧距离约1.4公里坐地铁2站可到星河COCO PARK,距离天虹商场坂田店1.8公里。(深圳远洋天萃世纪雅园售楼处电话:400-992-0669)
自带1所幼儿园,北侧地块规划有1所18班制幼儿园。
小学学区划分在科学高中五和实验学校,中学学区划分在坂田实验学校初中部、扬美实验学校初中部、深圳实验坂田校区初中部、科学高中五和实验学校初中部。
深圳科学高中作为深圳教育界的佼佼者,其附属的五和实验学校教育质量还是有保障的。
周边有4大自然生态湖泊周围,包含民治水库、民乐水库、雅宝水库、南坑水库。不仅是深圳最稠密的湖区所在地,更拥有塘朗山和银湖山两大山林资源。
出门2公里就是14.3平方公里的银湖山郊野公园,还有省5号绿道加山海连城鲲鹏径,五园连通串联梅林山、笔架山、莲花山、中心公园。

远洋天萃世纪雅园(深圳坂田)
远洋天萃世纪雅园售楼处电话:400-992-0669【VIP贵宾专线】
远洋天萃世纪雅园营销中心电话:400-992-0669【VIP贵宾专线】
远洋天萃世纪雅园售楼中心热线:400-992-0669【VIP贵宾专线】
来访提前咨询预约,欢迎致电开发商售楼处热线:400-992-0669,专业销售顾问将竭诚为你服务,感谢您的配合!
在售户型图丨项目介绍丨最新房源丨周边配套丨详细解答〢
注意:本项目不收任何费用,售楼中心〢欢迎来电咨询〢安全通话隐藏真实号码
声明:本文由入驻焦点开放平台的作者撰写,除焦点官方账号外,观点仅代表作者本人,不代表焦点立场。
